Mardi 24 février ;
Dernières ptes courses et c’est parti pour Canouan vers 9h15.
Sortie de la baie plein vent ar 9 à 25nds ! Rafales rafales!!!!
hors de la baie à 10h, 2ris grand voile et itou au génois cap 187°, bon plein travers, 15/18nds.
11h travers Mustique, 13 travers Canouan ; on continue !!! les Tobagos sont juste là !*
Arrivé sur l’alignement d’entrée des Tobagos à 14h et là un gros grain 30nds de vents !
Mouillage sous Petit Bateau à 14h45 dans 6m d’eau . Vérification de l’ancre enfouie ½, j’ai vu une raie et des poissons coffre ! héhéhé !
Un gros grain vers 16h avec du vent ; ça tient !
Mercredi 25 février ; j’ai dérapé un peu cette nuit 30/40m !!!!! dans un grain violent et j’ai rien vu !!!
Changement de mouillage plus prés de l’ilot, 4m d’eau 30m de chaine ; vérif. Complètement enfouie !Il y a un paquet de courant ici entre les 2 ilots !
Comme il y a beaucoup de bateaux qui partent des bouées se libèrent, j’en prends une comme ça je suis tranquille na!
Balade prés de la barrière de corail en annexe, il y a des bouées pour l’attacher afin de ne pas abimer les fonds avec les ancres !
A 15h le temps se couvre et grains sur grains ; c’est mort pour aujourd’hui on verra demain !
Un peu de couture sur les pressions de la capote coté Bâbord, ça use le fil !!!!!!
Jeudi 26 Février ; une amarre s’est rompue cette nuit sur l’œillet de la bouée !!!!
Livraison baguette ce matin : une vraie !!!!! 15Ec
Et qui arrive en annexe vers 10h ? Toute la famille Trezou gwen ! Génial !!!!!!
Le boy d’hier arrive avec une belle dorade de 5 livres voilà qui tombe bien pour ce midi !
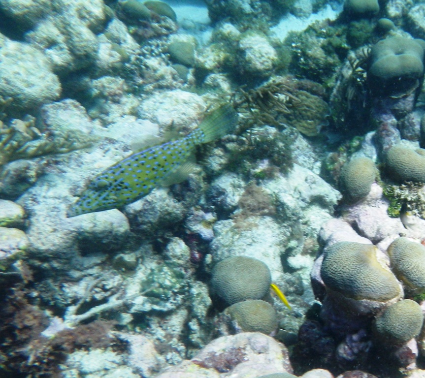
C’est parti pour une petite excursion sur le reef ! Superbe visi ! mais voilà il faut passer une passe avec un courant du diable et de la houle ; je me fait un essoufflement !!!!!!!!!! Retour tranquille avec le courant à l’annexe non sans profiter du paysage !
Pascal arrive et m’indique des bouées sur le tombant pour les plongeurs ; on y va en annexe et là que du bonheur !!!!
Retour sur Jonathan et régal ! Filets de Dorade à la poêle avec un peu d’huile et du beure de Bretagne (hé oui j’en ai encore !!!)
Merci à vous Flao, Meven, Marine et Pascal ! Voilà des rencontres gravées pour toujours ! Bonne route à vous !
Le vent passe N/E en fin de journée et se renforce toute la nuit !
Vendredi 27 Février ; toujours du vent et couvert, qq averses.
Un peu de couture sur le bimini et pmt sur la pte plage de petit Rameau ; c’est un peu brouillé par le courant!!!
Le lambi il n’y en a plus que des vestiges et de grands tas de coquilles vides, c’est peut être pas la saison !????????
Samedi 28 Février ; tjrs du vent , qq averses cette nuit, gros grain vers 9h30 ce matin 33nds !
Essai de réparation du pavillon Normand !!!! pmt coté petit Bateau ; 3 tortues : génial !
La carène est vraiment sale !!!!!!!
Dimanche 1er Mars ; tjrs très venté grrrrrrrrr ! Dépanné Mr « every where » passé un bidon de 10l de gazoline qu’il m’a ramené plus tard !
Lundi 2 Mars ; le vent a bien baissé et chose bizarre le courant s’est inversé ; à croire qu’avec le vent il y a eu un trop plein qui s’est vidé ce matin. Ce midi il n’y avait plus de courant et tantôt c’est reparti comme d’hab !
Petit tour sur la colline de petit bateau ; la vue y est superbe ! j’ai rencontré 2 iguanes !
Nettoyage de la carène !!! dur dur avec le courant ! il est vraiment grand temps que j’arrive à Cariacou pour faire le carénage !!!!
Mardi 3 Mars; Après avoir eu ma petite baguette de pain frais mmmmmmmm! c’est bon !
En route vers 9h30 pour Union et sa capitale Clifton, négocier les récifs et cap au 223°.
Ne pas passer en direct; récif récif !
5 petits miles plus loin nous voilà dans la baie de Clifton juste derrière le récif , aidé par Badou qui négocie les bouées! Aller nous voilà ici pour 4 jours.
Le village de Clifton tout en couleur !
Mercredi, jeudi, vendredi 6 Mars;
Toujours beaucoup de vent , on est vraiment bien protégé derrière la barrière de corail !
Les Kite-surfeurs s’en donnent à cœur joie et quel spectacle !
Les éclairages sont superbes!
Descente à terre pour les courses et aujourd’hui pour faire les formalités de sortie car Cariacou est sur Grenade et non plus St Vincent et Grenadines
Aller à très vite !















































































Salut Jonathan ,
Petite question : « Sur la photo de la maisonnette colorée du « reggae lounge cool » les femmes entrent par la porte rouge ou la porte verte ??? »…. (à cause du balisage inversé ???)
On attend toujours une photo du captain avec chemise à fleurs !
Merci pour les news et bon carénage !
kenavo
505